Nunca seremos los mismos después de un huracán. Quedan demasiados escombros y pedazos que no se pueden unir. Siempre faltan piezas en el conteo final. Cuando sucede, la Isla parece una colcha recién exprimida. Prevalece la humedad. Las manos de Dios nos estrujaron. Nos contorsionaron. Nos zarandearon. Nos extrajeron las últimas gotas de suerte.
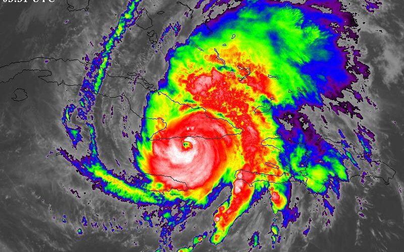
Melissa se encimó hacia el Oriente como si pudiéramos soportar otro mal, como si ya no hubiéramos padecido lo suficiente. Llevamos meses, años quizás, que no escampa.
Llueve y llueve: arbovirosis que te hacen sentir que perdiste un juego donde apostaste tus huesos; una bolsa de pan a 300 pesos; en el viandero una sola malanga cubierta de más fango que masa; los congeladores funcionan como aparadores, los aparadores vacíos. Llueve y llueve y uno solo busca donde guarecerse y muchas veces no lo encuentra.

A pesar de eso, ahí estamos nosotros desbaratados, pero no vencidos; aunque nos sintamos, cuando llega la calma aparente, como las mujeres y hombres más solitarios del mundo. Ocurre así cuando nos enfrentamos a la inmensidad. Con la naturaleza no se negocia. No puedes mostrarle tus banderas blancas. No sirve de nada arrodillarse a su frente y besarle los pies. No puedes pasarle disimuladamente unos billeticos para que te deje en paz.
Toca, sencillamente, enfrentarla: estoicamente, con la dignidad que el miedo nos permita. Se realizaron los preparativos establecidos según cada fase, con la esperanza de que Melissa destruyera, pero no arrasara. Los tragantes se destupieron con la idea de que funcione un sistema de desagüe viejo y no tan eficaz como quisiéramos en un país cuyo destino está marcado por el agua por todas partes (menos en las llaves de pila de las casas a veces). Se sacaron las tablas del cuartico de desahogo y se clavaron en las ventanas, le provocamos otra herida al marco, otra más. Se evacuaron las personas para proteger la vida.
Los evacuados regresan a sus hogares con la incertidumbre de no saber qué quedó de estos y de ellos mismos, porque nosotros somos el hogar que habitamos. Los ciclones nos persiguen desde el que azota el principio de «El siglo de las luces» de Carpentier hasta el Flora que nos dejó enclenques y dañados o los que asustaron tanto a nuestros aborígenes que llamaron Huracán al dios de todo lo malo.

Entendemos que la naturaleza mata con la misma mano que nos da de comer. La lluvia que hace crecer las calabazas, durante una tormenta es la misma que sumerge pueblos. Le quita la carne a los colchones y solo permanecen al final los huesos de sus muelles. Convierte las casas en miradores de estrellas.
El fresco de las cinco que entra por el balcón y amaina el calor insoportable de la tarde y que se oye como un rozar de telas, se convierte en aullido de perro jíbaro, en el llanto húmedo de los recién nacidos que todo les asusta y no saben por qué. Las ráfagas despedazan, muerden, arrebatan. Cercenan las manos de los árboles. Echan abajo los muros y no los que elevaste entre tú y yo o al que le incrementaste dos metros para que el vecino chismoso no supiera en qué andas; sino los que nos sostienen, los que evitan que todo se derrumbe.

No nos engañemos. No existen huracanes con nombres amables. No importa cómo los llamen, qué tan dulce suene en el oído. Si su mención te recuerda a algún fantasma, un amorío de juventud, una historia inconclusa, una apreciada amiga que ya no está. La ternura no vale cuando hablamos de un fenómeno que esparce el caos, tan terrible que reafirma nuestra fragilidad y por tanto nuestra humanidad.
Nunca seremos los mismos después de Melissa. Quedan demasiados escombros y pedazos de nosotros mismos que no se pueden unir, porque siempre faltan piezas en el conteo final. No obstante, trataremos de armarnos otra vez, aunque nos cueste. No seremos los mismos, pero quizás, con un poco de suerte, seremos.

